
2 keer gemerkt
Ausnahme Freiberger im sportlichen Typ
€ 13.400
€ 13.400
Advertenties ID: 4645574
Type advertentie: Paard te koop
Plaatsingsdatum: 15.10.2025
Reclameoproep: 97
Bericht
Ik ben geïnteresseerd – neem contact op
Om te onthouden
is geschikt voor therapeutische doeleinden
is geschikt voor beginners
Is gelongeerd
heeft grondwerk gedaan
is verkeersmak
is allrounder
is braaf op trailer
halstermak
braaf bij de hoefsmid
geschikt voor kinderen
Met paardenpaspoort
geen ekzeem
Beschrijving
Duits
- Italiaans
- Poolse
- Engels
- Nederlands
- Spaans
- Franse
- Duits
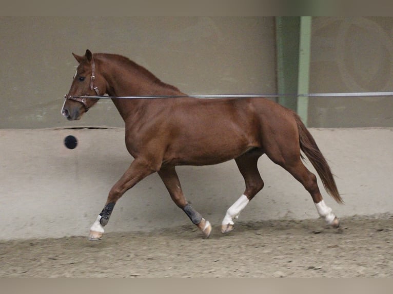
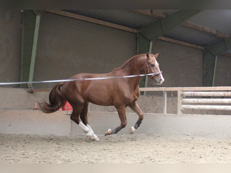
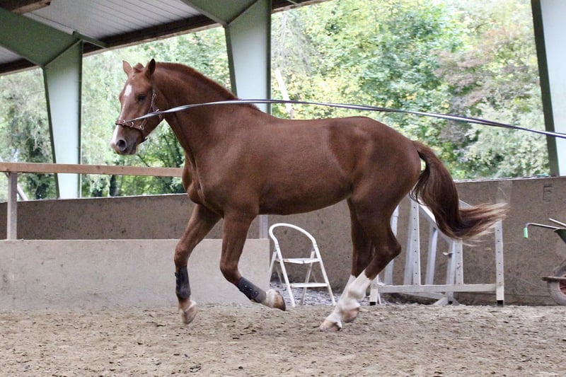
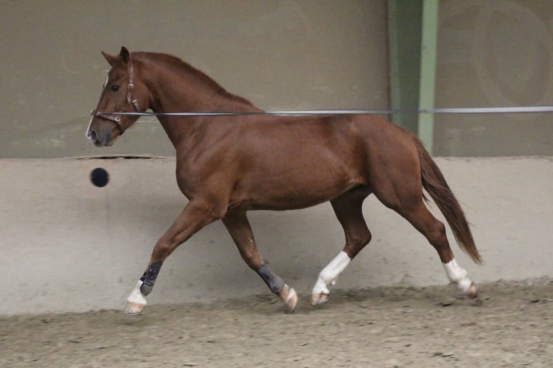
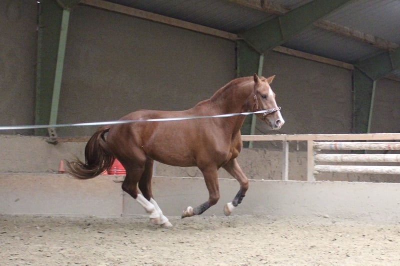
“Hasard des Oués“ oder kurz und liebevoll “Hasi“ genannt. Mit seinen aktuell 164cm vereint er die Sportlichkeit eines Warmblüters mit dem stabilen und freundlichen Charakter eines Freibergers. Hasi hat im Juli diesen Jahres seinen Feldtest in der Schweiz mit den Noten Exterieur: 8/7/9 Fahren: 8.29 Reiten: 7.60 absolviert. Er ist Ein-und Zweispännig gefahren, grundausgebildet unter dem Sattel und hat sich im Gelände stets sicher und zuverlässig gezeigt. Ob alleine im Gelände oder als Gruppe auch mit Hunden geht er gerne raus. Auch beim Longieren, Freilauf, ob ausgebunden oder nicht und an der Hand hat er sich nie negativ benommen. Hasi haben wir als ein sehr personenbezogenes Pferd kennengelernt. Bei Fremdreitern ist er erst einmal etwas unsicher, was er grundsätzlich durch anhalten und nachfragen statt durch wegrennen zeigt. Mit ein wenig Vertrauen zeigt er tolle Grundgangarten und deutlichen Lernwillen. Er ist sehr verschmust, achtet aber stets darauf einen nicht anzurempeln. Seine Tierärztliche Voruntersuchung ist wie erwartet ohne Befund. Mit seinen 3,5 Jahren ist er bereits ein wundervoller Begleiter der noch viel Potential in sich trägt. Um Reittourismus keine Chance zu geben müssen wir leider eine kleine Gebühr für das Probereiten berechnen. Selbstverständlich wird diese beim Kauf angerechnet.

Afstamming
Hara-KiriHermitageEclipseHELIXCYBELLEEstafetteHavanne
ZalikaNaganoZolaNICOJACQUELINEElvisDora
Contact opnemen met aanbieder
* Deze velden moeten worden ingevuld
Bericht sturen
Verdere advertenties van de aanbieder
Bericht
Copyright 1999-2025 • ehorses GmbH & Co. KG • ehorses.nl – voor privé- en commercieel gebruik Paarden kopen en Paarden verkopen.